|
BPA STEDELIJK PARK SPOOR NOORD | ||||||||||||||||||||||||||||||||||||||||||||||||||||||||||||||||||||
|
COLOFON
1 Inleiding 1.1 De uitdaging De uitdaging voor het Spoor Noord project is het creëren van een park in een stadsdeel dat kan gekarakteriseerd worden als een omgeving die nog niet in evenwicht is. Het park moet ertoe bijdragen om op lange termijn een groot deel van Antwerpen Noord te transformeren. Wat ooit een moeilijk oversteekbare barrière was en vandaag nog steeds een perifere leegte aan de rand van de XIXde eeuwse gordel - een gebied dat gedurende lange tijd verdwenen is geweest uit het collectieve beeld van de stad - moet een nieuwe invulling krijgen. Zo kan het een centrale rol vervullen in dit stadsgedeelte. Van buitenaf geobserveerd lijkt het gebied van Spoor Noord een site waar enkele belangrijke corridors samenkomen en zich verenigen: groene corridors, water corridors en mobiliteitscorridors. Ze worden samengevoegd in een rijk hedendaags, onsamenhangend en gefragmenteerd landschap, gekenmerkt door verschillende natuurlijke en kunstmatige elementen. Voor een gedeelte in gebruik als vrije tijdsgebied voor de nabije stadswijken. Spoor Noord is een "tussengebied " en de voornaamste rol is het verwezenlijken van nieuwe relaties tussen verschillende stadsdelen, door het aanbieden van een nieuwe identiteit. Identiteit, volgens Heidegger, is niet terug te vinden in het subject, maar in de relaties. 1.2 Doel van het BPA Het doel van het BPA is de vergunning mogelijk te maken van de realisatie van een stedelijk park als motor voor de heropwaardering van de omliggende wijken Dam, Stuivenberg en Seefhoek. De ontwikkeling van dit park wil een trend zetten voor het vernieuwd stedelijk beleid van de stad Antwerpen en richtinggevend zijn op het vlak van duurzame stedenbouw, duurzaam bouwen en duurzame architectuur. Door het vastleggen van ruimtelijke principes en concepten in richtlijnen en in juridische voorschriften wil het BPA de realisatie mogelijk maken van het winnend ontwerp van de stedenbouwkundige wedstrijd "Spoorwegemplacement en omgeving, een stedelijk parklandschap voor de 21ste eeuw". 1.3 Proces De stad Antwerpen en de Belgische Spoorwegen(NMBS) beslisten nauw samen te werken en ondertekenden een akkoord dat de basis was voor het opstarten van een plangroep om deze doelstelling uit te voeren. De plangroep werd officieel aangesteld bij het collegebesluit van 18 april 2001. De stad besliste om een stedenbouwkundige wedstrijd te organiseren voor een kwalitatief parkontwerp. In een eerste fase werden de resultaten geëvalueerd en werden er vijf ontwerpteams geselecteerd. In een tweede fase werden door de geselecteerde teams actuele ontwerpen voor het gebied uitgewerkt. Op 27 januari 2003 koos de commissie unaniem voor het project 'Dorpen en Metropool' van het team Studio 03 - Bernardo Secchi, Paola Viganò (It) ), Buro Kromwijk (NL), Meertens en Steffens (NL) en Iris Consulting (B). Op 26 mei 2003 werd vervolgens een overeenkomst afgesloten om een BPA op te maken als juridische basis voor de realisatie van het winnende project. 1.4 Structuur van het document Dit BPA bestaat uit twee delen. Het eerste deel bevat de algemene toelichting en motivering van de gewenste ontwikkelingen. Het tweede deel bevat de juridische voorschriften voor de realisatie van deze ontwikkelingen. 2 Locatie en afbakening van het plangebied 2.1 Definities 2.1.1 Studiegebied Dit is de omgeving die direct van invloed is op het project, zowel vanuit de ruimtelijke als de functionele invalshoek. 2.1.2 Projectgebied Dit is het afgebakend gebied met betrekking tot de internationale stedenbouwkundige wedstrijd "Spoorwegemplacement en omgeving, een stedelijk parklandschap voor de 21ste eeuw". 2.1.3 Plangebied Dit is de ruimte die het onderwerp uitmaakt van de ruimtelijke principes en - voorschriften van het BPA. De grenzen zijn duidelijk afgelijnd door het bestemmingsplan. 2.2 Studiegebied Het studiegebied omvat alle elementen en aspecten die belangrijk geacht worden voor de ontwikkeling van het gebied. Zodoende beslaat het studiegebied het noordoosten van Antwerpen en voor sommige aspecten het volledige grondgebied van de stad. De voornaamste thema's die besproken en onderzocht worden zijn: de omliggende woonbuurten, delen van de XIXde eeuwse gordel, de haven en het Albertkanaal en de daarbij horende verlaten gronden, de relatie met het stadscentrum en de omgevende districten. Figuur 1: topografische locatie van het studiegebied, projectgebied en plangebied
2.3 Projectgebied Het projectgebied waarop de wedstrijd betrekking had, omvat zowel het Damplein als het verlaten spoorwegemplacement. Voor dit gebied werd een project voorgesteld en aanvaard door de commissie. Dit project zal beschouwd worden als een 'referentie- ontwerp', dit is een ontwerp waarnaar telkens dient gerefereerd te worden om alle aspecten van de voorschriften van dit BPA op een juiste manier te interpreteren. 2.4 Plangebied De afbakening van het BPA is sterk (maar niet volledig) gebaseerd op de juridische afbakening van de 'zone voor stedelijke ontwikkeling' aangeduid in het geldende gewestplan van Antwerpen. Het uitgesloten, bebouwde gedeelte ten zuiden van Hardenvoort (noordzijde parkgedeelte tussen Dam viaduct en viaduct Noorderlaan), maakt deel uit van een BPA in opmaak 'Hardenvoort' dat gelijklopend met het BPA 'Stedelijk park Spoor Noord' wordt opgemaakt. Beide BPA's worden inhoudelijk op elkaar afgestemd. De keuze voor opsplitsing in twee BPA's vloeit voort uit de eigendomsstructuur (zie 5.3 eigendomsstructuur). Het plangebied voor stedelijk park Spoor Noord is volledig eigendom van overheidsinstanties en maakt deel uit van een interne overeenkomst tussen de verschillende eigenaars, dat een versnelde realisatie mogelijk maakt. Het uitgesloten gedeelte betreft hoofdzakelijk privé eigendom. De afbakening van het plangebied is gespecificeerd door volgende infrastructuren: Kempenstraat, de achterzijde van de huizenrij aan het Hardenvoort, Viaduct Dam, Damplein en de ring spoorweg Antwerpen-Roosendaal (niet inbegrepen) in het Noorden. In het oosten en het zuiden door: Schijnpoort-Pothoekstraat (niet inbegrepen), Halenstraat, Viséstraat, Trapstraat en Ellermanstraat. Het noordelijk deel van de Italiëlei vormt de westelijke grens. Het merendeel van het publiek domein van bovengenoemde straten is opgenomen in het BPA. De oppervlakte van het plangebied is ongeveer 30 ha. 3 Ruimtelijke context
Figuur 2: ruimtelijke context
De bestaande feitelijke toestand van het gebied is beschreven op basis van de luchtfoto's, de topografische kaart en terreinonderzoek. De bestaande feitelijke toestand is weergegeven op het plan van de bestaande feitelijke toestand (schaal 1:2000). Details zoals gebouwen, verharde en niet-verharde oppervlakten zijn makkelijk herkenbaar op het plan. Het huidig grondgebruik is met een kleur aangeduid. Figuur 2: ruimtelijke context
3.1 Een tussengebied Het plangebied kan omschreven worden als een 'tussengebied': een gebied tussen haven en stad, tussen dichtbebouwde buurten, tussen de Schelde en zijn hinterland. De site was in het verleden in gebruik als spoorwegemplacement waardoor ze een sterke barrière vormde tussen de noordelijke districten en het stadscentrum. Ze is gelegen als een gordel rondom de kernstad met een lengte van 1,6 km. En een gemiddelde breedte van 160 meter. Het grootste gedeelte van het gebied is vandaag verwaarloosd en verlaten. 3.2 Een gebied tussen twee dichtbebouwde woonbuurten De wijken Dam en Stuivenberg-Seefhoek , delen van de XIXde eeuwse gordel, zijn twee van de meest problematische stedelijke woonomgevingen in Vlaanderen, met een gebrek aan groen en met problematische leefomstandigheden. Deze slechte ruimtelijke conditie is een gevolg van een verwaarloosd publiek domein en een verouderd en verwaarloosd woningbestand. Kleinschalige bouwblokken en relatief smalle straten karakteriseren het stedelijk weefsel. Een verweving van kleinschalige economische activiteiten en openbare voorzieningen zijn terug te vinden in de bouwblokken. Beide wijken hebben een gebrek aan attractieve activiteiten op een (groot)stedelijke schaal. De reeks van projecten die kaderen in Urban I (Europees programma - grootstedenbeleid) tracht deze zwakten weg te werken door een herinrichting van het openbaar domein en het realiseren van onder andere het design center en het Permeke complex (stadsbibliotheek). De bevolking bestaat uit een groot aantal migranten en families uit de lagere sociale klassen. Gedeeltelijk kan dit verklaard worden door de toestand van het woningpatrimonium en de grote concentraties sociale woningen. Het cumulatief proces van achteruitgang van de woningvoorraad en van de stedelijke ruimten met de gekende gevolgen ten opzichte van de sociale degradatie betekent een bedreiging in deze gebieden. 3.3 Een gebied tussen de haven en de stad De locatie van het plangebied wordt beïnvloed door de omgeving. Drie delen kunnen onderscheiden worden: den Dam, Het Eilandje en het stedelijk weefsel aan de noordzijde van het St. Jansplein. Deze drie gebieden zijn duidelijk overgangsgebieden, herkenbaar door een sterke verweving van havengerelateerde activiteiten. De trend die zich de laatste decennia voortzette, een verschuivende haven naar het Noorden waarbij een aantal in onbruik geraakte en verouderde terreinen en gebouwen worden achtergelaten, manifesteert zich nog steeds. Niettemin is dit proces recent aan het wijzigen en terug te vinden in goede voorbeelden van herinterpretaties en herwaardering van sommige verlaten industriële gebouwen en opslagruimten en van verschillende verspreid gelegen appartementen en woningen. Enkele belangrijke stedelijke elementen in de omgeving van het projectgebied zijnde: het centraal station, de universitaire campus (UA) en een concentratie van hoge scholen in hetzelfde gebied (Paardenmarkt-Ossenmarkt-Stadswaag). Een nieuwe spoorverbinding voor de HST is in constructie om de noord-zuid verbinding tussen het centraal station en een nieuw te bouwen IC station ter hoogte van Luchtbal (gebied net ten noorden van de Dam) te realiseren. De tunnel start van het bestaande spoorviaduct in het centrum en passeert onder het centraal station om vervolgens ter hoogte van het projectgebied (Damplein) weer boven te komen. De constructie van de tunnel is van grote invloed op het ontwerpvoorstel van het projectgebied. De Damwijk wordt gekarakteriseerd door dominante grootschalige economische activiteiten, oude industrieën en winkels, waarvan sommigen verlaten zijn. Het Damgebied is steeds meer en meer gefragmenteerd en verdeeld door infrastructuren en verschillende activiteiten en is moeilijk eenduidig te omschrijven. Sterke barrières omgeven het gebied: het Albertkanaal (de havenverbinding met het hinterland) in het noorden, de spoorwegberm en het spooremplacement in het zuiden en de dokken van het Eilandje en het viaduct van de Noorderlaan in het westen. De voornaamste fragmenterende infrastructuren in het gebied zijn de spoorlijn Antwerp (Berchem) - Roosendael (NL), de Slachthuislaan (wat kan beschouwd worden als een verlenging van de Noordersingel) en de Ijzerlaan (een verbinding tussen het district Merksem en de Noorderlaan). Eén van de meest karakteriserende elementen van de wijk was tot het recente verleden het slachthuis met omliggende gerelateerde activiteiten zoals groothandel in vlees en vlees restaurants. Het Lobroekdok is een voorbeeld van een verlaten dok door de haven, momenteel in gebruik als locatie voor woonboten. De slachthuissite en het gebied rondom het Lobroekdok en de Slachthuislaan zijn recent bestudeerd (zie ook planningscontext: relevante studies). Het onderwerp van dit onderzoek is het aanduiden van een duidelijke bestemming voor deze gebieden en om een nieuw proces op te starten voor de ontwikkeling en herwaardering van het gebied. Het Eilandje is het meest gekende voorbeeld van een verlaten gebied door de haven. Het oudste deel van de haven is volop in transformatie, gestuurd door een Masterplan opgemaakt door de stad (zie ook planningscontext: Masterplan en waterplan Eilandje). De dokken en omliggende infrastructuren, het publiek domein en verschillende constructies zullen geherinterpreteerd en getransformeerd worden. Een nieuwe mix van stedelijke functies, activiteiten en voorzieningen nog steeds tezamen met havengerelateerde activiteiten, werd voorgesteld in het Masterplan. Juist tegenover het projectgebied bevindt zich de 'entrepot site'. Deze site is in ontwikkeling met nieuwbouw voor kantoren, appartementen, hotel, winkels,… Net ten zuiden van het projectgebied en ten noorden van het St. Jansplein wordt het weefsel gekarakteriseerd door sommige belangrijke stapelhuizen die nog steeds havengerelateerde activiteiten huisvesten. Enkel hoofdkantoren zijn in dit gebied gelokaliseerd. 3.4 Een gebied tussen de Schelde en het hinterland Het is belangrijk vanuit een ecologische maar ook ruimtelijke invalshoek de ligging van het gebied tussen de Schelde en enkele andere parken, bijvoorbeeld het Rivierenhof, en groenstructuren (wegbermen Ring en Singel) te benadrukken en te bestuderen. De specifieke locatie van het plangebied bevat verschillende potentialiteiten om de link tussen de Schelde, de Leien, de XIXde eeuwse gordel, het Ring-Singel complex en de voorstad (districten) te verbeteren. 4 Beschrijving van de bestaande toestand van het plangebied
Plan 1: bestaande feitelijke toestand 4.1 Plangebied en omgeving In en rondom het plangebied zijn belangrijke structurerende wegen gelegen zoals de Noorderlaan, de Leien en de Singel. Een deel van de ringspoorlijn vormt de noordelijke grens van het project. Verlaten gronden karakteriseren de grootste delen van het plangebied. Na het verwijderen van de sporen die fysiek het gebied domineerden ontstond er een spontane natuurontwikkeling. De bestaande gebouwen zijn hoofdzakelijk omgeven door verharde oppervlakten. Verspreid kan men enkele bomenrijen of bomengroepen terugvinden.
Enkele secties kunnen onderscheiden worden in het plangebied: 4.2 De westelijke sectie Naast de Leien bevindt zich het voormalig Noordstation. Momenteel is enkel een klein deel, voornamelijk kantoorruimten, nog in gebruik (ABX,..). Vooral de gevel van dit gebouw aan de Italiëlei heeft een bepaalde historische waarde. Naast dit gebouw langsheen de Ellermansstraat zijn enkele barakken en hangars in gebruik als opslagruimte door de NMBS. De volledige sectie langs de Ellermansstraat is afgesloten door hekken, muren en poorten. De Noordzijde, tussen de Noorderlaan en de Kempenstraat is leeg. 4.3 De centrale sectie De centrale sectie rondom het Dam viaduct is gekarakteriseerd door tijdelijke constructies (werf HST-tunnel) en door enkele waardevolle gebouwen (voormalig onderhouds- en kantoorgebouwen van de NMBS). De waardevolle gebouwen zijn: het opleidingsgebouw, het gebouw WDT en het gebouw SPTM. Deze dominante historische gebouwen hebben een sterke invloed op het karakter van het plangebied. Een recent gebouw is in opbouw als onderhouds en evacuatie gebouw voor de HST tunnel. Vlakbij is een intensief gebruikt speelterrein voor de buurt gelokaliseerd (Viséstraat - Trapstraat), daarnaast is een klein basketveld gesitueerd. Enkele tijdelijke loodsen bevinden zich in deze sectie. De belangrijkste is de Perrierhal, een tijdelijke overdekte sporthal (sportloods) voor de buurt. Het gebied nabij de kruising van de Viséstraat met de Halenstraat is in gebruik als een (halfopen) depot (NMBS).
Het Dam viaduct dat deze sectie doorkruist is de enige verbinding (zowel voor voetgangers en fietsers als gemotoriseerd verkeer) tussen het stadscentrum (Stuivenberg-Seefhoek) en de Dam wijk. Deze verbinding is enkel toegankelijk door enkele monumentale trappen (Trappekes) aan de Trapstraat en St. Lazarusstraat. Aan de andere kant, naast het Dam viaduct in het noordelijk deel van het plan gebied is een perceel in gebruik als parkeerruimte. 4.4 De oostelijke sectie Het oostelijk deel wordt gedomineerd door twee monumentale watertorens omgeven door enkele boomgroepen. Ook een eenvoudige car-wash is gelegen naast de Halenstraat.
Als resultaat van het voormalig gebruik en de actuele situatie van het plangebied zijn er slechts drie noord-zuid verbindingen aanwezig. De eerste verbinding, Schijnpoort in het oosten, bevindt zich net naast het plangebied en biedt toegang tot de Ring en Singel en achterliggende districten via een onderdoorgang van het ringspoor. De tweede verbinding in het midden van het plangebied is al aangehaald en besproken: viaduct Dam. Voor een lange periode was dit de belangrijkste verbinding tussen het stadscentrum (centraal station) en de Dam wijk. De derde verbinding is de Noorderlaan die het plangebied binnendringt in het westen en vervolgens recht naar het noorden afbuigt. De Noorderlaan is een belangrijke verbinding, die toegang geeft tot de noordelijke Leien en de Kaaien vanuit het noorden van Antwerpen en de noordelijke districten (Ekeren, Merksem, A12 en E19).
In het zuidelijk deel geven een groot aantal straten uit op het plangebied. De gebouwen langs de Ellermansstraat, Dambruggesttraat, Trapstraat, Viséstraaten Halenstraat bevatten residentiële functies. Enkel in de westelijke sectie bevinden zich enkele kantoren (omgeving Leien) en een grote blinde gevel van een voormalige opslagplaats (Katoennatie). Een andere situatie doet zich voor in het noordelijk deel waar de relatie met de omgeving moeilijker te realiseren is. De oostelijke sectie is afgesloten door een spoorwegberm, een directe link met de Dam wijk kan hier bijgevolg enkel gerealiseerd worden door voetgangers/fietserstunnels. In de westelijke sectie is het plan gebied verdeeld door het viaduct van de Noorderlaan, stijgende van west naar oost. Ter hoogte van de bocht is het viaduct ondersteekbaar. Openbaar vervoer is beschikbaar in de omgeving van het plangebied met drie bushaltes nabij de terreinen van de NMBS, de Italiëlei en de Ellermansstraat. Een tramhalte bevindt zich vlakbij de watertorens in de Halenstraat.
5 Beschrijving van beleidsvisies en de bestaande juridische toestand
Plan 2: bestaande juridische toestand 5.1 Ruimtelijk beleidscontext 5.1.1 Ruimtelijk Structuurplan Vlaanderen
Besluit Vlaamse Regering 23 september 1997
In het Ruimtelijk Structuurplan Vlaanderen is Antwerpen geselecteerd als grootstedelijk gebied. Het maakt deel uit van de Vlaamse Ruit. Er zijn ontwikkelingsperspectieven vooropgesteld voor de grootstedelijke gebieden zoals o.a. minimale woondichtheden, een differentiatie en verbetering van de woningvoorraad, een versterking van de multifunctionaliteit, het ontwikkelen van kantoren aan de knooppunten van openbaar vervoer, het afstemmen van voorzieningen op het belang van het stedelijk gebied, het bundelen van de kleinhandel en het behoud en de ontwikkeling van randstedelijke groengebieden. In het Ruimtelijk Structuurplan Vlaanderen wordt tevens een specifiek beleid inzake stedelijke mobiliteit aangereikt.
Relevante aspecten voor het plangebied:
"Het is noodzakelijk de stedelijke gebieden te vernieuwen door het voeren van o.a. een meer dynamische stadsvernieuwing. De vernieuwing van verwaarloosde of onderbenutte terreinen is hiervan een essentieel onderdeel. Strategische projecten stimuleren andere actoren, waaronder huisvesting, om projecten op te zetten die de aantrekkelijkheid van het stedelijk wonen aantonen".1
"Om in de bestaande toeristisch-recreatieve aantrekkingspolen … de kwaliteit van de leefomgeving en de maatschappelijke en economische ontwikkelingsmogelijkheden van de eigen bevolking te behouden, is het wenselijk een in het stedelijk beleid geïntegreerde toeristische beleidsvisie te ontwikkelen. Aandacht moet gaan naar het ontwikkelen van minder bezochte toeristische potenties in en nabij de stedelijke gebieden".2
Het Ruimtelijk structuurplan Vlaanderen kiest voor een stedelijk beleid en pleit voor stedelijke vernieuwing en herwaardering. De stedelijke vernieuwing wordt vorm gegeven door strategische projecten. 5.1.2 Ruimtelijk structuurplan provincie Antwerpen
Goedgekeurd bij ministerieel besluit op 10 juli 2001
-Antwerpse fragmenten hoeksteen van de Vlaamse ruit Vier grote hoofdruimten zijn gesitueerd in de provincie: de Antwerpse fragmenten, de Noorderkempen, de Oostelijke Netwerken en het Netegebied. In de Antwerpse fragmenten is het grootstedelijk gebied Antwerpen het a- centrisch hart van de provincie. Het gebied rond het grootstedelijk gebied is het Antwerpse deel van de Vlaamse ruit. Het gebied is sterk verstedelijkt en bestaat uit een kluwen van stedelijke fragmenten. Vanuit de Antwerpse gordel die aangeduid is als een groene band omheen het grootstedelijk gebied (met recreatieve en open ruimte functies), dringen groene vingers van bovenlokaal niveau het stedelijk gebied binnen. Voor de Antwerpse fragmenten geldt een beleid van omgaan met fragmentatie. -Zeven deelruimten binnen de Antwerpse fragmenten De hoofdruimte Antwerpse fragmenten bevat verschillende deelruimten. Antwerpen behoort tot de deelruimte 'het grootstedelijk Antwerpen'. Deze deelruimte behoudt voor de provincie een centrale rol en biedt het gebied ruimte aan de meest hoogwaardige functies. Antwerpen is het grootstedelijk hart van de provincie.
-Doelstellingen - Vernieuwen van het grootstedelijk gebied; dit vertaalt zich bijvoorbeeld in het herbestemmen van verlaten bedrijventerreinen, het vernieuwen van woonomgevingen, het realiseren van groenstructuren,… - Uitbouwen van kwalitatieve woonomgevingen; o.a. de morfologische en functionele dichtheid van Antwerpen kernstad (stadskern en negentien eeuwse gordel) kan verlaagd worden enerzijds door het doorlopend herwaarderen van het weefsel en anderzijds door het uitvoeren van herbestemmingsprojecten - Vrijwaren van de groene vingers door het realiseren van een grootstedelijke groenstructuur - Verbeteren van de bereikbaarheid Uitbouwen en inrichten van grootstedelijke assen 5.1.3 Globaal Structuurplan Antwerpen
(goedkeuring synthesenota globaal structuurplan Antwerpen d.d. 26/06/1990)
Het Globaal structuurplan Antwerpen (1990), "Antwerpen een herwonnen stad", was het resultaat van het planproces dat opgestart werd naar aanleiding van de fusie van Antwerpen met de omliggende gemeenten. Het doel was te komen tot een gemeenschappelijk ruimtelijk beleid voor de stad en zijn districten ("Dorpen en Metropool"). Het plan was opgebouwd op basis van de ruimtelijke structuur en gewenste ontwikkeling voor de jaren negentig, ingepast in een globale ruimtelijke visie, voorgesteld in het plan. De visie werd vertaald in ruimtelijke concepten en een structuurschets voor het stedelijk gebied en de kernstad. De concepten benadrukten acht hoofdthema's, aangetoond met enkele schetsen en beschouwd als de basis voor de stedelijke herwaardering:
De visie en de concepten werden uitgewerkt als specifieke middelen om de acties te begeleiden in drie verschillende facetten: een verweving van huisvesting en activiteiten, een nieuwe poging om een lightrail te realiseren als openbaar vervoersmiddel, nieuwe relaties tussen de stad en de haven aan te gaan. Deze prioriteiten werden voorgesteld en gedetailleerd in sommige specifieke projecten zoals bijvoorbeeld de herwaardering van het publiek domein samen met het verbeteren van de kwaliteit van de woningen in de negentiende eeuwse gordel. Tenslotte bevat het document een lijst van strategische projecten: bijvoorbeeld de oost-west as, de verlenging van de tramlijnen, een fietsnetwerk, het Ringbos, buffers tussen de haven en de polderdorpen, de brugpoorten, enzovoort. Voor de realisatie van de projecten werden er specifieke organisatorische structuren uitgewerkt. 5.1.4 Strategisch Ruimtelijk Structuurplan Antwerpen (S-RSA)
(in opmaak; presentatie Nota Strategische Aanpak aan het College van burgemeester en schepen in juli 2003; Start Nota in november 2003)
Om dit te kunnen uitwerken zal in het vervolg proces van de opmaak van dit Structuurplan, meer dan in de voorbije fase ( opmaak Nota Strategische Aanpak en Startnota) aandacht moeten besteed worden aan de districten buiten de Ring (incl. Berendrecht, Zandvliet en Lillo). Met het oog op de veranderende socio-demografische en socio-economische omstandigheden zal de vernieuwing van de stad de doorwerking van de verzorgingseconomie moeten faciliteren en aandacht hebben voor aangepaste voorzieningen voor de verouderde baby-boomgeneratie. Ook deze aspecten zullen in de volgende fase van het Structuurplan verder uitgewerkt worden.
De verkennende projecten die werden voorgesteld in het vierde hoofdstuk hadden tot doel om de haalbaarheid te testen van het concept en van de coherentie met de sleutelkwesties, beelden en projecten opgenomen in de Atlas.
5.1.5 Gemeentelijke Natuurontwikkelingsplan (GNOP)
(definitief goedgekeurd door de gemeenteraad op 28 april 1997)
In het GNOP wordt gestreefd naar het behoud van de huidige kwaliteit en de versterking van de potentiële kwaliteit van de natuurwaarden. Het GNOP van Antwerpen omvat twee delen: deel I houdt een inventarisatie van de actuele ecologische waarden in. Deel II houdt acties in voor specifieke gebieden. Het spoorwegemplacement wordt bij de inventarisatie niet vermeld. In het tweede deel worden de ecologische waarden van spoorwegemplacementen in het gefragmenteerd landschap benadrukt.
5.1.6 Mobiliteitsplan
(voorgelegd aan de auditcommissie op (12-06-2003)
Het mobiliteitsplan Antwerpen is uitgesplitst in een algemeen deel en acht deelgebieden. Het spoorwegemplacement is gelegen in het deelgebied Kernstad In het hoofdstuk "Opbouw van het beleidsplan 2010" worden de werkdomeinen (A "ruimtelijke ontwikkelingen", B "ontwikkelingen verkeersnetwerken", C "ondersteunende maatregelen", D "samenhang tussen werkdomeinen A, B, C", E "financiële raming" en F "organisatie") uitgewerkt tot een consistent en duurzaam geheel van maatregelen.
Volgende projecten worden als strategische projecten geduid:
Ten opzichte van de ruimtelijke ontwikkelingen worden volgende doelstellingen geformuleerd:
Ten opzichte van de ruimtelijke ontwikkelingen worden volgende doelstellingen geformuleerd:
Ten opzichte van de ontwikkeling van verkeersnetwerken worden volgende doelstellingen geformuleerd:
De wegen in de nabijheid van het plangebied behoren tot de volgende categorie:
Onderdeel van het mobiliteitsplan is een parkeerplan. Voor het deel van het stadsgrondgebied binnen de Singel werd dit plan opgemaakt in 1998 en door het college goedgekeurd. Volgende elementen zijn van toepassing op het projectgebied:
5.2 Bestaande juridische toestand 5.2.1 Gewestplan
Het plangebied is deel van het gewestplan Antwerpen.3 Het plangebied is hierin bestemd als stedelijk ontwikkelingsgebied met uitzondering van het deel gelegen tussen de Noorderlaan en de Kempenstraat. Dit deel is aangeduid als zone voor ambachtelijke bedrijven en KMO's .
De aanvullende stedenbouwkundige voorschriften voor het gewestplan Antwerpen omschrijven stedelijke ontwikkeling als volgt. "Dit gebied is bestemd voor industriële, ambachtelijke en agrarische activiteiten, kantoren kleinhandel, dienstverlening, recreatie, wonen, verkeer en vervoer, openbaar vervoer openbaar nut en gemeenschapsvoorzieningen, en dit voor zover deze functies verenigbaar zijn met hun onmiddellijke multifunctionele stedelijke omgeving.
De stedenbouwkundige aanleg van het gebied, de bijhorende voorschriften betreffende terreinbezetting, vloeroppervlakte, hoogte; aard en inplanting van de gebouwen met bijhorende voorzieningen , en de verkeersorganisatie in relatie met de omliggende gebieden, worden vastgesteld in een bijzonder plan van aanleg vooraleer het gebied kan ontwikkeld worden. Ook het wijzigen van de functie van de bestaande gebouwen kan pas na goedkeuring van een bijzonder plan van aanleg".4
figuur 3: uittreksel gewestplan Antwerpen
5.2.2 BPA's in de omgeving
Twee BPA's zijn gesitueerd in de omgeving van het studiegebied: BPA nr. 97: "Dam West" (goedgekeurd MB 08/06/1988) en het BPA nr. 16 "Slachthuis en omgeving" (goedgekeurd M.B. 26/06/2001).
Het belangrijkste doel van het BPA "Dam West" is het garanderen en stimuleren van de leefbaarheid in deze wijk (Dam). Het betreffende deel van de Damwijk was volgens het geldende gewestplan bestemd als KMO zone. In werkelijkheid bestaat dit gebied voor 60% uit ambachtelijke bedrijven en ongeveer 40% wonen (inclusief binnenplaatsen). Het BPA "Dam West" bevestigt deze realiteit door het bestemmen van ongeveer 40% tot woonzone.
Het BPA "Slachthuis en omgeving" betreft overwegend een verfijning van de bestemming op het gewestplan (zone voor openbaar nut) naar "zone voor groothandelsactiviteit". Deze zone is bestemd voor groothandelsactiviteiten gericht op de vleesverwerkende industrie, voornamelijk vlees en gevogelte en de toelevering aan de horeca en detailhandel. De noordwestelijke zijde/huizenrij van de Ceulemansstraat is bestemd als woonzone. 5.2.3 Verkavelings- en rooilijnplannen Er zijn geen goedgekeurde verkavelingen gelegen in het plangebied. 5.2.4 Statuut van wegen en waterwegen De Noorderlaan, de Leien en de Singel zijn gewestwegen. Alle overige wegen zijn gemeentewegen. Binnen het plangebied liggen geen voet- of waterwegen opgenomen in de Atlas van Voet of Waterwegen. 5.2.5 Beschermde monumenten, landschappen en stads- en dorpsgezichten Enkele monumenten binnen en de omgeving het plangebied zijn bij besluit als monument beschermd. Deze zijn aangeduid op plan. Tabel 1: beschermde monumenten in (de omgeving van) het plangebied
5.2.6 Woningvernieuwingsgebieden en woningbouwgebieden Status: de woongebieden en de woonvernieuwingsgebieden werden bij besluit van de Vlaamse Regering op 7 april 1998 afgebakend. In artikel 23 van de Vlaamse Wooncode is het territoriaal selectief huisvestingsbeleid voor het eerst decretaal verankerd. Ter uitvoering van dit artikel keurde de Vlaamse Regering 'het besluit houdende de afbakening van woonvernieuwings- en woningbouwgebieden' goed.
De volgende gebieden zijn als woonvernieuwingsgebied bepaald: Tabel 2: Woningvernieuwingsgebieden en woningbouwgebieden
5.3 Eigendomsstructuur
Het plangebied kent slechts twee eigenaars: de gronden ten noorden van de Noorderlaan zijn in eigendom van NV ANNEIS (een vennootschap die werd opgericht door EIS en het autonoom gemeentebedrijf Antwerpen Nieuw Noord). De overige gronden zijn eigendom van de NMBS. De Italiëlei en de Noorderlaan zijn beide gewestwegen en dus eigendom van het Vlaamse Gewest. figuur 4: eigendomsstructuur
5E.I.S. Euro Immo Station, dit is een dochter van de spoorwegmaatschappij NMBS (nationale maatschappij Belgische Spoorwegen)
6 Relevante studies en plannen voor het plangebied 6.1 Masterplan Antwerpen (goedkeuring Vlaamse regering, 15 december 2000)
Het Masterplan Antwerpen is geen globaal mobiliteitsplan. Het wil korte termijnoplossingen bieden voor een groot deel van de mobiliteitsproblemen voor Antwerpen en omgeving. Het Masterplan biedt geen oplossing voor alle problemen, het beperkt zich tot de 'de prioriteiten der prioriteiten'. Het plan moet uitgevoerd zijn in 2010.
Volgende acties hebben de hoogste prioriteit:
Deze reeks mobiliteitsprojecten zijn acties op de korte en middellange termijn (van 3-5 tot 8-10 jaar) en zullen de stedelijke organisatie wijzigen en een nieuwe hiërarchie tussen de verschillende verkeersstromen bepalen.
Relevante deelstudies: Het nieuwe ontwerp van Ring en Singel. De recente hypothese van een Groene Singel stelt een capaciteitsverhoging voor van de verstopte snelwegen en wegen in Antwerpen door het toedelen van de verschillende verkeersruimten aan de verschillende stromen die de stad doorkruisen. Op de Ring zal het internationale verkeer gescheiden worden van het bestemmingsverkeer op parallelle rijbanen; deze ingreep zal toelaten de Singel te 'downgraden' en te herontwerpen als een stedelijke boulevard, verbonden met de radiaalwegen en het stedelijk weefsel. Op lange termijn zal het sluiten van de Ring belangrijke gevolgen hebben voor de verdeling van het verkeer in de Antwerpse regio en op de bereikbaarheid van het noorden van de stad. De consequenties van deze hypothese op de congestieproblematiek zijn door TV SAM geëvalueerd en een ontwerp voor de herinrichting Ring en Singel werd voorgesteld. Alle vier de scenario's van TV SAM gaan uit van het idee dat de ruimten langsheen en tussen de Ring en Singel zeer toegankelijk en attractief worden. Dit is de redden waarom alle scenario's een verdichting voorstellen met nieuwe volumes in knooppunten en platformen die gedeeltelijk de wegen overdekken, in de langsrichting of dwars langs nieuwe overbruggingen....
De heraanleg van de Leien. De Italiëlei, grenzend aan het plangebied, wordt heraangelegd in de tweede fase van de heraanleg van de volledige Antwerpse Leien. De tweede fase is in voorontwerp en betreft het gedeelte vanaf de M. Teresialei tot aan de Noorderlaan. Het voorontwerp wordt volgens de huidige timing beëindigd in juni 2004. De heraanleg omvat eveneens de herinrichting van de Rooseveltplaats en de Teniersplaats (ter hoogte van de opera), waarbij een exclusieve ruimtelijke uitstraling beoogd wordt. Het ontwerp streeft naar: een centrale vrije tram- en busbaan, een strikte scheiding tussen de verschillende verkeerssoorten door groene bermen, het voorzien van ventwegen en parkeerstroken. De aanbesteding is gepland voor december 2004, waarbij de werken starten augustus 2006 en beëindigd worden in de zomer van 2009.
De verbreding van het Albertkanaal. Mogelijke consequenties in de nabijheid van het plangebied zijn: de afbraak van de Ijzerenbrug en het voorzien van een nieuwe fiets- en voetgangersbrug. Hierdoor wordt een belangrijke verbinding gerealiseerd tussen de wijk Dam en het district Merksem. Vanaf deze verbinding vertrekken belangrijke voet- e fietsverbindingen naar het plangebied. De exacte locatie van de nieuwe fietsbrug is nog niet vastgesteld. Een ander gevolg is de mogelijke herinrichting van de Ijzerlaan, waarbij een aansluiting met de Slachthuislaan geoptimaliseerd wordt om de noordelijke Singel te vervolledigen en aansluiting te geven met de Noorderlaan. Dit wordt verder uitgewerkt in het Ring-Singel concept. Volgens de voorlopige plannen zal het Albertkanaal ter hoogte van de Damwijk enkel verbreed worden aan de Noordzijde (binnenbocht), de aanliggende weg dient daarbij verplaatst te worden.
De Noord Zuid verbinding/HST tunnel (NMBS/Tucrail): Deze tunnel start vanaf het station van Berchem, passeert onder het centraal station, en komt weer aan de oppervlakte ter hoogte van het Damplein, net naast het plangebied. Dit betekent dat de spoorwegtunnel zich net onder het plangebied bevindt, naast het Damviaduct. Het evacuatiegebouw van de tunnel bevindt zich in het plangebied, naast het damviaduct en wordt geïntegreerd in het ontwerp. De noord-zuid verbinding is deel van de hogesnelheidslijn Brussel - Amsterdam. Het centraal station wordt ingeschakeld als HST station. Ten noorden van het plangebied is een tweede station 'Luchtbal' gepland.
6.2 Stadsbaken Lobroekdok
Binnen het ontwikkelingsgebied van Doelstelling II is het Lobroekdok als stadsbaken aangeduid, met het oog op een economische heroriëntatie van het gebied. Met het collegebesluit van 24 april 2002 werd het traject voor het planningsproces goedgekeurd, dat als doel heeft een consensus te bereiken over de herontwikkeling van het gebied en een strategie om het project in de steigers te zetten voor private investering & ontwikkeling. Bij collegebesluit van 20 november 2002 werd de startnota van het Lobroekdok goedgekeurd. Op 7 februari 2003 werd de consensusnota goedgekeurd door het college met daarin 8 punten van consensus over de herbestemming van de site. Bovendien werden 7 sleutelvraagstukken geformuleerd die van cruciaal belang zijn voor de ontwikkeling van het gebied. Vandaag worden 3 onderzoeksvragen bestudeert met betrekking tot de ruimtelijke invulling, het functioneel programma en sanerings- en milieutechnische problematiek van de site. Tegen juli 2004 wordt een strategisch plan opgemaakt. Op basis van een structuurschets wordt de gewenste ruimtelijke structuur vastgelegd met het oog op een duidelijke fasering en met acties op korte en lange termijn. 6.3 Masterplan en waterplan Eilandje (goedgekeurd door het College van Burgemeester en Schepenen, maart 2002; in proces voorontwerp september 2003)
In opdracht van het Havenbedrijf en de stad Antwerpen werd voor het 'Eilandje' een structuurschets opgemaakt. Dit document beschrijft de richtlijnen voor de gewenste ruimtelijke ontwikkeling van het gebied en werd goedgekeurd door het College van Burgemeester en Schepenen op 10 april 1997. Het Masterplan is gebaseerd op deze structuurschets. In het Masterplan wordt het 'Eilandje' verdeeld in vier grote delen: de Montevideo-wijk, de Cadix-wijk, het Mexico-eiland en het droogdokkeneiland.
De herontwikkeling van het Eilandje is van cruciaal belang voor de stedelijke vernieuwing in Antwerpen. Het gebied beschikt over een aantal troeven voor het ontwikkelen van een kwalitatieve stedelijke omgeving.
De ontwikkeling van het Eilandje als deel van de stad kan een nieuwe economische, sociale en toeristisch-recreatieve impuls betekenen voor de gehele stad. In het gebied wordt dan ook een sterke verweving van stedelijke functies nagestreefd. Het gebied heeft een hoge ruimtelijke draagkracht waardoor hoogwaardige en grootschalige stedelijke functies kunnen ingeplant worden. . Nieuwe kwalitatieve woonvormen worden gecreëerd langs de Schelde in een unieke omgeving.
Het 'Waterplan' is verbonden met het 'Masterplan' en bevat specifieke bestemmingen en invullingen voor elke dok in het gebied. 6.4 urban I programma In het kader van Urban 1, een Europees programma voor de herwaardering van stedelijke omgevingen die gelegen zijn in grootstedelijke gebieden, is de Stuivenberg-Seefhoek aangeduid als een projectzone in Antwerpen. Een strategie van kleinschalige ingrepen en een opwaardering van het openbaar domein werd voorgesteld en uitgewerkt. Dit BPA, dat de omvorming inhoudt van het plangebied tot een stedelijk park, kan beschouwd worden als een belangrijke stap in dit herwaarderingsproces.
7 referentieproject
Antwerpen is een poreuze stad. Twee lagen van groene of onbebouwde zones worden over elkaar gelegd: de eerste is de laag van de grote parken en de grote groene zones; op schaal van de Metropool creeren ze een duidelijke ruimtelijke structuur. Het stedelijk park 'Spoor Noord' bevindt zich op deze laag. De tweede is de laag van de kleine openbare parken en tuinen, en van de private binnenplaatsen en tuinen. Zij vormen een voortdurend veranderende nabije ruimte. De tuinen van Spoor Noord bevinden zich ook op deze laag. Dankzij de porositeit kan de natuur doorsijpelen en doordringen in de dicht bebouwde gebieden met een belangrijke positieve impact op het ecologische systeem.
Het gebied van Spoor Noord heeft, zoals alle gebieden die in het verleden zijn aangetast door een overheersende industriele activiteit, vele kenmerken die over dat verleden getuigen. Eén ervan is de bodemvervuiling, met het bijhorend gevaar voor de mens. Het saneren van de bodem is een essentieel onderdeel van een "topografisch" project.
Vroeger was Spoor Noord een moeilijk te nemen hindernis, vandaag vormt het een leegte in de periferie, de grens van het 19-de eeuwse district, dat voor lange tijd niet geintegreerd was in het collectieve beeld. Het gebied van Spoor Noord moet vastgelegd worden en moet nieuwe relaties tussen de verschillende delen van de stad tot stand brengen, door hen een nieuwe identiteit te geven.
Een sociale ruimte Een park is een sociale ruimte: een ruimte die de inwoners de mogelijkheid biedt om ervaring op te doen, om actief te zijn. De hoofdeigenschap van het Spoor-Noord Park is zijn topografie en zijn dimensie: een wijd, continu en eenvoudig vormgegeven grasveld dat doorkruisd wordt door een reeks paadjes, geinspireerd door de workshop met de inwoners, die de verschillende wijken met elkaar verbinden. Spoor Noord Park heeft een enorme waarde voor de stad als geheel en voor het leven van elke dag voor de buurt: de achtertuin van de stad wordt een waardevol deel van Antwerpen. Het brengt het grote potentieel van de 19de eeuwse gordel tot uiting en definieert een nieuwe stedelijke geografie.
Een groene ruimte Het eerste beeld van het park is een groen park: het park is niet te veel vormgegeven en een belangrijke gelegenheid om vernieuwde technieken te gebruiken om de vervuilde grond terug te winnen en een correcte opname en afvoer te garanderen. Op dit ogenblik is het gebied Spoor-Noord een ecologische woestijn die in de toekomst verschillende droge en natte woonomgevingen kan huisvesten in overeenstemming met de noodzaak tot infiltratie en bodemsanering.
Meervoudige atmosferen Wanneer men het park langs de oostkant binnenkomt en er wandelt, ervaart men een opeenvolging van ruimtelijke situaties: de tuin met de watertorens, het pad, het groepje sportvelden, met de bewegingen van de grond die ze zachtjes scheidt van het centrale pad dat een beetje hoger loopt. Sommige zullen, vooral in de zomer, ook 's avonds gebruikt worden, andere bestaan uit enkele lichte constructies op het gras en vormen een nieuwe soort leef-atmosfeer. Een dode straat met mooie maar vermoeiende trappen wordt omgevormd tot de centrale toegang tot het park in het zuiden aan de Trapstraat. Het Damplein is de hoofdingang aan de noordkant. De HST die hier uit de grond komt, moet niet gedramatiseerd worden. De tunnel zelf, die hier uit de grond komt, kan opgevat worden als een sterke sculptuur op het plein. Ze is volledig bereikbaar en kan een openlucht speelplaats of een plaats voor creatieve expressie worden. Het westeinde, het densere en meer stedelijke deel, is het resultaat van twee principes van bebouwing: de campus en het weefsel, niet als tegenstrijdigheden, maar als mogelijke situaties in de loop van de tijd; het ontwerp van de open ruimte staat centraal. Ontwerp en proces spreken elkaar niet tegen. In de loop van de tijd zal het park niet één, maar verschillende vormen hebben.
Een vloeiende ruimte Het Noorderlaan-viaduct kan een ruimte worden met een sterk stedelijk karakter, een stedelijke boulevard met een tramlijn tot aan het station Luchtbal. Ook het Dam-viaduct kan een nieuw, meer huislijk ontwerp krijgen. Wanneer men het park aan de westkant binnenkomt, hebben de groene helling en de Noorderlaan tegenovergestelde hellingen: hierdoor is het voor voetgangers mogelijk om de nieuwe stedelijke boulevard en de stedelijke facade langs de Noorderlaan op verschillende punten te bereiken: op het grondniveau aan het westeinde, op het hoger niveau van de terrassen en de winkels in het midden en op het niveau van het park aan het oosteinde. Een voetgangersbrug, 7.5 m hoog, verbindt het park met de Noorderplaats en het Eilandje. Hierdoor ontstaat een continu systeem van groene zones van de oostelijke buitenwijken van de stad tot aan de Schelde en het westen van de stad.
Een flexibele ruimte De dimensies van het voorgestelde bouwprogramma zijn belangrijk; de realisatie kan lange tijd duren; de ontwerpstrategie moet rekening houden met de mogelijkheid dat het oorspronkelijke programma niet gerealiseerd zal worden. Het park is het belangrijkste middel om kwaliteit te geven aan de tijdelijk onbebouwde gebieden door middel van een tijdelijke, maar ook houdbare beplanting. Op elk moment moet het park de veiligheid op de verschillende plekken garanderen. Het ontwerp is een landschap van licht en van veiligheid. De beslissing om de bestaande spoorweggebouwen te behouden zal collectief zijn en kan ingegeven zijn door een pragmatische houding. Waarden zijn nooit absoluut, zij hangen af van context en geschiedenis. aanpak
Een aanpak 'Een park voor de éénentwintigste eeuw' was de slogan voor de ontwerpwedstrijd die in 2002 werd gehouden voor het park Spoor Noord. Het project dat wij voorstellen heeft enkele ambities en doelen: binnen de idee van een Renovatio Urbis is het Park Spoor Noord zo bedacht dat het een belangrijk stedelijk effect kan hebben niet enkel op het verlaten spoorwegterrein, maar ook op de buurten rond het park en op de stad zelf. De verschillende rollen die het park kan spelen zijn vervat in het motto: "dorpen en metropool": een park voor de hele stad, belangrijk voor de metropolitane regio en daarbuiten, een park voor de dagelijkse praktijken van de buurt. Ons voornaamste idee is dat het park een sociale ruimte is, een vrije ruimte, die de inwoners de kans geeft ervaringen op te doen en actief te zijn. De belangrijkste eigenschap van het park Spoor Noord is zijn dimensie: een wijd en eenvoudig ontworpen grasveld doorkruist met paden die de verschillende buurten met elkaar en met het park verbinden. Tuinen, sportvelden, doorzichtige bossen bieden plaats aan verschillende formele en informele sociale praktijken en definiëren meervoudige atmosferen.
Strategie De strategie van het project is om van deze achtertuin van de stad een waardevol deel van Antwerpen te maken, dat het grote potentiëel van de buurten tot uiting brengt. Het is noodzakelijk de verschillende delen van de stad met elkaar te verbinden met behulp van een park. Daarom rijgt het park randen en interne ruimten aan elkaar in een uniek concept en tot een unieke ruimte die de buurten met de Schelde en de dokken verbindt. De ontwikkeling van zone C volgt een stricte timing van realisatie en financiering; de randen (zone F) kunnen ten minste gedeeltelijk worden opgenomen in de strategie voor het hele park, dit geldt ook voor zone D (het Damplein) dat zijn eigen financiering heeft; de ontwikkeling van de zones A en B kan een apart verloop kennen, maar moet vanaf het begin gebeuren met het beoogde kwaliteitsniveau voor de hele site. Het gezamelijk bedenken van de ontwikkeling van de verschillende delen is belangrijk om het beeld van verval dat bestaat over de site, sterk bepaald door het slechte imago van de buurt, te kunnen veranderen. Daarom moet de realisatie van het park een bottom up én een top down strategie volgen. Er moet veel aandacht besteed worden aan de tijdelijke projecten (bijvoorbeeld tijdelijke noord-zuid paden), maar ook aan de interventies in zone A en B vóór zij worden ingenomen door een meer permanente invulling. Zoals al gezegd werd in het wedstrijdvoorstel, zal het project andere kenmerken hebben op andere ogenblikken in de tijd.
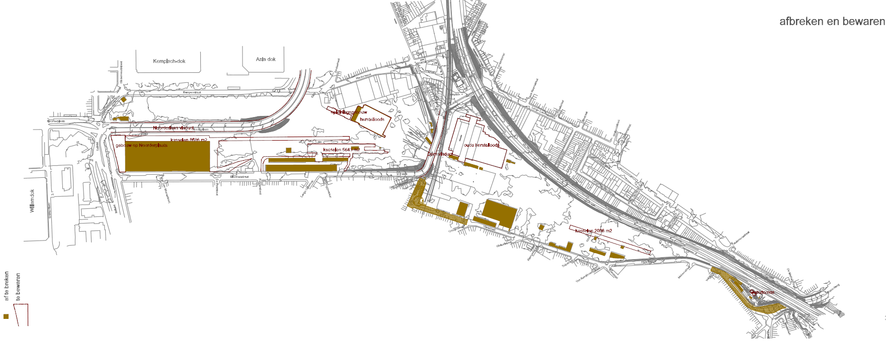
Doelen Ecologie: een park, de beste voorbeelden ervan alleszins, is steeds een innovatieve en experimentele ruimte geweest waar de stad opnieuw wordt bedacht. Spoor Noord Park kan een belangrijke gelegenheid zijn om nieuwe technieken te gebruiken om de vervuilde grond terug te winnen en een correcte opname en afvoer te garanderen, om met een zero-energy aanpak te experimenteren. De stad kan een duidelijke bereidheid tonen tot een duurzame aanpak door een park te realiseren dat zoveel mogelijk zelfvoorzienend is door bijvoorbeeld het winnen van zonne-energie op de grote daken (bijvoorbeeld de 5000m² dakoppervlak van de grote hangaar kunnen bedekt worden met fotovoltaïsche cellen), de grote lampen te laten werken op zonne-energie, er kan zoveel mogelijk gebruik gemaakt worden van niet vervuilende materialen. Zo kan deze ecologische woestijn getransformeerd worden in een plek die verschillende habitats biedt. Het project dat hier getoond wordt is een eerste poging om het woord duurzaamheid een betekenis te geven. Erfgoed, hedendaagse waarden en gebruiken: het project dat we voorstellen doet enkele suggesties over het bewaren van de bestaande spoorgebouwen. De beslissing hierrond echter moet gemeenschappelijk genomen worden, zoals het een door velen gedeelde overtuiging moet zijn dat deze gebouwen werkelijk erfgoed zijn. Waarden zijn nooit absoluut, maar contextueel en historisch. Er kunnen voorlopige beslissingen genomen worden over herbruik, zoals bijvoorbeeld van het oud station, die geïnspireerd zijn door een pragmatische houding die de kenmerken van de gebouwen en de mogelijkheden tot herbruik van haar ruimtes voor ogen houdt. Wat betreft de andere gebouwen, zijn er programma's bedacht (sporthal in de grote hangaar, jazz café in het opleidingsgebouw, overdekte speeltuin in SPTM) die interessant zijn op deze plek en coherent met het karakter van de gebouwen en hun locatie.
Programma Naast het herbruiken van de bestaande treingebouwen, biedt het park een antwoord op de vraag van de bewoners naar meer sportfaciliteiten. De cluster van sportvelden in het oosten van het park bevat het hele programma dat door de stadsadministratie werd opgemaakt. Onder de groene helling die het Damviaduct volgt, zit een multifunctionele ruimte die verbonden kan worden met het belvedere gebouw aan de Trapstraat. Wat betreft de westelijke kop, de voorziene ontwikkeling is heel uitgebreid en heel open; daarom veronderstellen we dat de realisatie ervan een lange periode kan innemen. De ontwerpstrategie moet er dus ook rekening mee houden dat de vooropgestelde ontwikkeling niet volledig wordt gerealiseerd. Gedurende dit proces moet de kwaliteit van deze gebieden steeds heel hoog blijven, om het park een echte samenhang te geven, maar ook om nieuwe investeringen aan te trekken. We stellen voor het park te gebruiken om de voorlopig onbebouwde gronden kwaliteit te geven. fotobeelden - bewaren
kaartbeeld - afbreken en bewaren
kaartbeeld -Park Spoor Noord
kaartbeeld - functies
kaartbeeld - autoverkeer, parking, laden en lossen
een grammatica
Verschil en herhaling: een grammatica De grammatica van het park komt voort uit het herhaaldelijk toepassen van enkele elementen en materialen die identiteit geven aan het Spoor Noord Park. Enkele specifieke sites en objecten zullen verschillen en uitzonderingen introduceren.
Een grasveld: de eerste impressie van het park is groen: niet té ontworpen. Deze ruimte is een open grassland. Een golvend grasveld dat één keer per week wordt gemaaid, grasland dat eens per maand wordt gemaaid, weiland met eens per jaar bloemen tesamen met lichte boomgroepen zorgen voor een vrij zicht door het park. Enkele van de sportvelden zijn gewoon gras.
Paden: veel verschillende paden vormen een ketting die verschillende keuzemogelijkheden toelaat. Het oost-west hoofdpad is gemaakt met herbruik kasseien, de noord zuid paden zijn in herbruik betonnen elementen, fietspaden zijn in drainerend asfalt, gespecialiseerde loops zoals bijvoorbeeld het fins looppad kunnen in verschillende materialen zijn. Een nieuwe voetgangersbrug op een hoogte van 7m 50 zal het park verbinden met de Noorderplaats, de rivier en het Eilandje. Zo loopt het systeem van groene gebieden van de oostelijke buitenwijken van de stad door naar de Schelde in het westen.
Tuinen: dat een park groen is, is vandaag een culturele conventie. Het is echter fundamenteel te beseffen en te waarderen dat dit "groene masker" soms ver afstaat van wat het gebied eerder was. Wanneer we een snede door de bestaande grond maken, vinden we, onder de laag vervuilde assen, een dikke zandlaag, een bodem met specifieke kenmerken en bijgevolg een specifieke natuurlijk mogelijke vegetatie. Wat interessant is, is dat, niet ver van Spoor Noord, de litologische eigenschappen dezelfde zijn. Daar bestaat een specifiek landschap van zandduinen en naaldbomen. Wat nog interessanter is, is dat dit zand in Spoor Noord niet oorspronkelijk is, maar het gevolg van grondwerken om de profielen van de Schelde- en de Schijnvallei te veranderen om er de grote platforms te maken voor de spoorwegen. De tuinen van Spoor Noord zijn opgevat als gaten (ogen) in het groene masker van het park die het zandlanschap tonen verstopt onder het culturele groen. In een mise en abîme zullen de zandtuinen een natuurlijk landschap onthullen, maar ook een historische periode, wanneer de haven van Antwerpen, met de realisatie van de grote zandplatformen van Spoor Noord, spoor oorst en spoor zuid, de belangrijkste spoorhaven van de wereld werd. Het project stelt vijf grote zandtuinen voor, en verschillende kleine, verspreid over het gebied. De gebruikte planten zijn typisch zandvegetatie, bijvoorbeeld Pinus Sylvestris (grove den), Hippophae Rhamnoides (duindoorn) en grassen zoals Ammophilia Arenaria (helmgras) of Elymus Arenarius (zandhaver). De vegetatie van de nieuwe bovenlaag is een combinatie van gras en bomen.
Bomen: grote groepen bomen vormen de nu ontbrekende derde dimensie en definiëren ruimtes. De boomgroepen spelen met het perspectief van de zich bewegende bezoeker, doordat de richting van de rijen verandert ten opzichte van de beweging. Snel groeiende bomen worden gebruikt tesamen met traag groeiende en lang levende bomen om vanaf het begin een zeer groen park te hebben. Populieren (Populus spec.) op weilanden kunnen dienen als tijdelijke planten. Eiken (Quercus) zijn langlevende, duurzame soorten. De tijdelijke beplanting wordt gebruikt waar het uiteindelijke ontwerp nog niet bepaald is of later zal gerealiseerd worden. Waar het uiteindelijk ontwerp gerealiseerd wordt, worden langlevende soorten gebruikt. Het project stelt vijf soorten bomen voor: De toegangen van het park worden benadrukt met groepen Tilia Tomentosa (zilverlinde) die gedeeltelijk in gravel of bestrating kunnen staan. In de omgeving van de sportzones en parkings stellen we voor Gleditsia Triacanthos (valse christusdoorn) te gebruiken. Deze boom heeft geen afscheidingen die de geparkeerde autos kunnen schaden. Langs de Viséstraat en de Ellermanstraat zal Acer Platanoides (noorse esdoorn) worden gepland: dit is een sterke boom, geschikt voor het gebruik in straten, met een mooie herfstkleur. De bomen op de heuvels zijn een mengeling van eiken: Quercus Robur (zomereik) en Quercus Rubra (amerikaanse eik). Zij groeien goed, ook op waterdoorlatende gronden, en worden heel oud. De vijfde soort is de eerder vermelde Pinus Sylvestris, de enige naaldboom, terug te vinden in de zandtuinen. Wegens veiligheidsoverwegingen worden struiken vermeden.
Verlichting: de flexibiliteit van het park wordt bepaald door de veschillende gebruiken die mogelijk zijn op de verschillende momenten van de dag; op elk ogenblik moet de veiligheid gegarandeerd zijn. Het probleem is niet om genoeg verlichting of hekken te plaatsen, maar een landschap van licht en veiligheid te creëren. Wat niet wordt afgesloten, wordt goed verlicht, maar sommige internere zones, niet langs de paden, kunnen iets donkerder blijven voor het ecologische comfort. Het project onderscheidt drie soorten verlichting: functionele verlichting (dit betekent het benodigde aantal lumen voorzien: bijvoorbeeld langs het hoofdpad, bij de ingangen, op de parkingplaatsen...), directionele verlichting (dit betekent verlichting die geleidt, een richting duidelijk maakt) en scenografishe verlichting (verlichting van monumenten zoals de grote hangaar, of de grote lampen op de kiosken in het park). We stellen voor om heel weinig verschillende elementen te gebruiken, en heel eenvoudige modellen, ofwel gebruik te maken van indirect licht.
Afsluitingen, toegangen en parkings: de rand van het park is bedacht als een heel herkenbaar en eenheidsgevend element. Het zal gerealiseerd worden met één geleidend hoofdmateriaal, gekleurde beton dat een wand wordt, een eenvoudige boord om op te zitten, een horizontaal vlak, een voetpad, toegangen, hellingen. .. Delen van het park kunnen autonoom geopend of gesloten worden met een metalen raster; de algemene idee is dat het oostelijk gedeelte met de sportfaciliteiten gesloten wordt, terwijl het westelijke gedeelte, met de grote grasvlakte, open blijft. Sommige onderdelen van het park kunnen aan de verantwoordelijkheid van privépartners of verenigingen worden overgelaten; dit is ook een manier om de inbezitname van het park door de bewoners op gang te brengen. Het park heeft vele toegangen vanuit de verschillende buurten; twee nieuwe tunnels onder het spoor zullen de relaties tussen de buurten en het park verbeteren. Nabij iedere ingang zijn er kleine groene parkings voorzien. Er zijn ook enkele grotere parkings op de westelijke kop. kaartbeeld - gras
kaartbeeld - paden
kaartbeeld - bomen
kaartbeeld - tuinen
kaartbeeld - zwarte beton
kaartbeeld - andere verharding
kaartbeeld - sportvelden en speeltuinen
kaartbeeld - banken
kaartbeeld - verlichting
kaartbeeld - tunnels en spoorwegberm
specifieke ruimten
Meervoudige atmosferen Wanneer je hat park betreedt en doorwandelt, passeer je een opeenvolging van verschillende ruimtelijke situaties: de tuin aan de watertorens, het pad, de sportcluster die van het hoofdpad gescheiden wordt door zachte hellingen,... Enkele van deze ruimten zullen ook 's avonds, vooral in de zomer, gebruikt worden, sommige zijn enkel eenvoudige uitrustingen op het grasveld, een nieuw soort ruimte en leef-sfeer.
De Trapstraat Een doodlopende straat met mooie maar vermoeiende trappen wordt getransformeerd in een centrale toegang tot het park: een multifuncioneel gebouw, gebouwd op het ventilatiegebouwtje van de HST tunnel, bevat een voetgangershelling die van het niveau van de Trapstraat oploopt naar het Damviaduct. Door de trappekes kan een doorgang naar het park voorzien worden op het niveau van de Trapstraat zelf. Winkels, kantoren en een restaurant kunnen een middel zijn om de buurt te ontsluiten naar het park en naar 'Den Dam' ten Noorden van Spoor Noord.
Het Damstation in het park het Damplein is de voornaamste ingang in het park vanuit de buurt ten noorden van Spoor Noord. De HST tunnel die uit de grond komt, sluit het plein in het westen en de spoorlijn in het oosten. We moeten de aanwezigheid van die tunnel niet dramatiseren: hij articuleert het vroeger plein sterk. Tesamen met de spoorlijn wordt een driehoekige ruimte gevormd, een aangenaam voorplein voor het café in het Damstation. Aan de andere kant, waar de HST tunnel de spoorlijn raakt, kan een groene helling naast het Damstation bijna een afgesloten openlucht theater vormen. De naar boven komende tunnel zelf kan ingebeeld worden als een sterke sculptuur op het plein. Als die volledig begaanbaar wordt gemaakt kan die gebruikt worden als een openlucht speelplein of een plaats voor creatieve expressie, met op het einde een gebouw verbonden met het Damstation.
De westelijke kop Campus en weefsel: de stedelijke taal van het westelijke hoofd bestaat uit contrasterende figuren. Het is opgebouwd uit een basis, gevels van dezelfde hoogte als de bestaande gebouwen en torens. Tijdens de ontwikkeling ervan kan de zone voorkomen als een 'campus': een architectuurobject vrij geplaatst in een park; óf het kan bepaald worden door de nieuwe gevels langs de straten. Het project stelt twee nederzettingsprincipes voor, de campus en het weefsel, niet als tegengestelden, maar als mogelijke (en zelfs tijdelijke) toestanden in de tijd. In een uiteindelijk stadium kan de campus een stedelijk weefsel worden. Maar natuurlijk kan, als het programma op korte termijn worden gerealiseerd, het weefsel het startpunt zijn. De torens garanderen ook een belangrijke flexibiliteit. Wat belangrijk is, is dat het mogelijk is een zeer goed ontwerp voor een campus én voor een weefsel te maken, als het ontwerp van de open ruimte centraal staat. Ontwerp en proces werken elkaar niet tegen. Een groene helling verbindt het park met de ontwikkelingen op de westelijke kop. De groene helling en de Noorderlaan hebben tegengestelde richtingen: de helling gaat omhoog van oost naar west, terwijl de Noorderlaan omhoog gaat van west naar oost. Bijgevolg is het mogelijk voor voetgangers vanuit de buurten de nieuwe stedelijke boulevard van de Noorderlaan te bereiken op verschillende punten. Belvedère eerste fase : café en daktuin op het evacuatie en ventilatiegebouwtje van de HST (1/250)
Belvedère tweede fase : gebouw met gemengd gebruik (1/500)
Plan 1/1000 en snedes 1/500 - oppervlakte 1200 m² - mogelijke verbinding tussen Trapstraat en Belvedère
voetnoten 1 Ruimtelijk Structuurplan Vlaanderen, Gewenste ruimtelijke structuur, p. 332 2 Ruimtelijk Structuurplan Vlaanderen, Gewenste ruimtelijke structuur, p. 365 3 4 Artikel 17 van de aanvullende stedenbouwkundige voorschriften voor het gewestplan Antwerpen | ||||||||||||||||||||||||||||||||||||||||||||||||||||||||||||||||||||

![i_BPA_11002_224_10116_00001_200001.jpg [image]](i_BPA_11002_224_10116_00001_200001.jpg)
![i_BPA_11002_224_10116_00001_200002.png [image]](i_BPA_11002_224_10116_00001_200002.png)
![i_BPA_11002_224_10116_00001_200004.png [image]](i_BPA_11002_224_10116_00001_200004.png)
![i_BPA_11002_224_10116_00001_200005.png [image]](i_BPA_11002_224_10116_00001_200005.png)
![i_BPA_11002_224_10116_00001_200006.png [image]](i_BPA_11002_224_10116_00001_200006.png)
![i_BPA_11002_224_10116_00001_200007.png [image]](i_BPA_11002_224_10116_00001_200007.png)
![i_BPA_11002_224_10116_00001_200008.png [image]](i_BPA_11002_224_10116_00001_200008.png)
![i_BPA_11002_224_10116_00001_200009.png [image]](i_BPA_11002_224_10116_00001_200009.png)
![i_BPA_11002_224_10116_00001_200010.png [image]](i_BPA_11002_224_10116_00001_200010.png)
![i_BPA_11002_224_10116_00001_200011.png [image]](i_BPA_11002_224_10116_00001_200011.png)
![i_BPA_11002_224_10116_00001_200012.png [image]](i_BPA_11002_224_10116_00001_200012.png)
![i_BPA_11002_224_10116_00001_200013.png [image]](i_BPA_11002_224_10116_00001_200013.png)
![i_BPA_11002_224_10116_00001_200014.png [image]](i_BPA_11002_224_10116_00001_200014.png)
![i_BPA_11002_224_10116_00001_200015.png [image]](i_BPA_11002_224_10116_00001_200015.png)
![i_BPA_11002_224_10116_00001_200016.png [image]](i_BPA_11002_224_10116_00001_200016.png)
![i_BPA_11002_224_10116_00001_200017.png [image]](i_BPA_11002_224_10116_00001_200017.png)
![i_BPA_11002_224_10116_00001_200018.png [image]](i_BPA_11002_224_10116_00001_200018.png)
![i_BPA_11002_224_10116_00001_200019.png [image]](i_BPA_11002_224_10116_00001_200019.png)
![i_BPA_11002_224_10116_00001_200020.png [image]](i_BPA_11002_224_10116_00001_200020.png)
![i_BPA_11002_224_10116_00001_200021.png [image]](i_BPA_11002_224_10116_00001_200021.png)
![i_BPA_11002_224_10116_00001_200022.png [image]](i_BPA_11002_224_10116_00001_200022.png)
![i_BPA_11002_224_10116_00001_200023.png [image]](i_BPA_11002_224_10116_00001_200023.png)
![i_BPA_11002_224_10116_00001_200024.png [image]](i_BPA_11002_224_10116_00001_200024.png)
![i_BPA_11002_224_10116_00001_200025.png [image]](i_BPA_11002_224_10116_00001_200025.png)
![i_BPA_11002_224_10116_00001_200026.png [image]](i_BPA_11002_224_10116_00001_200026.png)
![i_BPA_11002_224_10116_00001_200027.png [image]](i_BPA_11002_224_10116_00001_200027.png)
![i_BPA_11002_224_10116_00001_200028.png [image]](i_BPA_11002_224_10116_00001_200028.png)
![i_BPA_11002_224_10116_00001_200029.png [image]](i_BPA_11002_224_10116_00001_200029.png)
![i_BPA_11002_224_10116_00001_200030.png [image]](i_BPA_11002_224_10116_00001_200030.png)
![i_BPA_11002_224_10116_00001_200031.png [image]](i_BPA_11002_224_10116_00001_200031.png)
